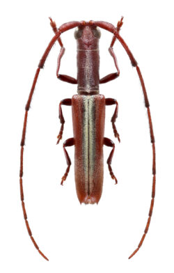
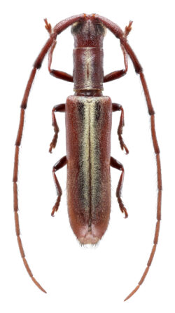
Des captures sur la réserve naturelle de La Trinité, la Montagne de Kaw et la Montagne des Pères ont permis à Pierre-Henri Dalens et Frédéric Robin d’identifier une petite série de spécimens inhabituels de coléoptères de la famille des Cerambycidae affichant un dimorphisme sexuel très marqué. Les caractères morphologiques observés permettent de placer ces individus dans la tribu (rang taxonomique entre la sous-famille et le genre) des Agapanthiini (sous-famille des Lamiinae).
Il a été déduit qu’il s’agissait d’un genre nouveau par rapport aux caractères sexuels aussi prononcés étant très inhabituels pour cette tribu. L’étymologie du nouveau genre Xenohippopsis provient du grec « Xéno » qui signifie « étranger », pour refléter les nombreuses différences morphologiques avec les autres genres d’Agapanthiini. Les spécimens trouvés ayant servi à décrire ce nouveau genre portent désormais le nom officiel de Xenohippopsis ariane Dalens & Robin, 2026
Vous pouvez télécharger la publication entière avec les liens ci-dessous :
Dalens P.-H. & Robin F., 2026. – Un nouveau genre d’Agapanthiini de Guyane (Coleoptera, Cerambycidae, Lamiinae). Faunitaxys, 14(10) : 1 – 5. DOI : https://doi.org/10.57800/faunitaxys-14(10)
ZooBank : https://zoobank.org/9AF7BFF7-C4AC-4B41-843D-F6096120BAC6


Xenohippopsis ariane HOLOTYPE mâle © Frédéric Robin & Xenohippopsis ariane PARATYPE femelle © Frédéric Robin

